上海明后天将有大暴雨,或为1981年以来11月最大降雨

Connor USDT交易所 2024-10-30 27 0

受今年第21号台风“康妮”外围环流和冷空气共同影响,31日傍晚到11月1日,上海市有大暴雨,过程雨量120~180毫米,东南部可达220~280毫米,最大小时雨强40~70毫米,降水具有极端性,有可能成为1981年以来11月最大降水过程;31日夜里起风力逐渐增大,11月1日最大陆地阵风8~9级,洋山港区阵风10~11级虚拟币交易监管

台风“康妮”动态:加强为超强台风虚拟币交易监管,逐渐向台湾岛靠近

上海明后天将有大暴雨<strong></p>
<p>虚拟币交易监管</strong>,或为1981年以来11月最大降雨

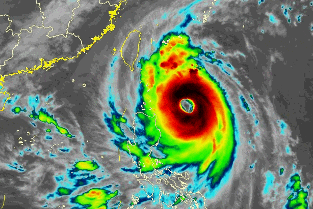
今年第21号台风“康妮”,今天早晨增强为超强台风,11时其中心位于距离台湾省台东市东南约520公里的太平洋洋面上,中心附近最大风力有17级,中心最低气压为925百帕,七级风圈半径380~480公里虚拟币交易监管

预计“康妮”将以每小时15~20公里的速度向西北方向移动,强度还将有所增强,将于31日中午到下午在台湾岛南部或中部登陆,尔后沿浙闽沿海一带近海北上(也可能在上述沿海地区登陆或擦过),强度迅速减弱虚拟币交易监管

上海明后天将有大暴雨<strong></p>
<p>虚拟币交易监管</strong>,或为1981年以来11月最大降雨

台风外围联手冷空气虚拟币交易监管,周四傍晚至周五大暴雨

上海明后天将有大暴雨<strong></p>
<p>虚拟币交易监管</strong>,或为1981年以来11月最大降雨

展开全文

降水预报:注意防范大暴雨

受“康妮”外围环流和冷空气共同影响,10月31日下午起上海市将出现阵雨天气,傍晚开始雨势增强,强降水将持续到2日凌晨,降水集中时段出现在31日半夜至11月1日白天虚拟币交易监管。过程累积雨量大暴雨(120~180毫米),上海市东南部地区雨量更显著(局部可达220~280毫米),可能成为上海市1981年以来11月最大降水过程。

注意防范大风

31日夜里起上海市风力逐渐增大,11月1日最大陆地阵风8~9级,高层建筑及沿江沿海地区阵风9~10级,洋山港区阵风10~11级,2日下午风力逐渐减弱虚拟币交易监管

天气提示

台风影响前可适量储备饮用水和食物虚拟币交易监管。台风影响期间尽量减少外出。

防范大风虚拟币交易监管。妥善收起室外物品,防止高空坠物。不要在临时建筑物附近躲避风雨,车辆停靠远离大树等。

此次过程具有极端性,强降水可能造成局部积水,如在户外注意不要轻易涉水虚拟币交易监管

“康妮”影响期间正值天文大潮期,注意提防风暴增水影响,低洼处有需注意防范虚拟币交易监管

此次过程对交通有较大影响,注意及时了解出行信息虚拟币交易监管

注意及时了解预报预警信息虚拟币交易监管

后期天气趋势:下周冷空气影响虚拟币交易监管,气温进一步下降

明天上海逐渐受到“康妮”外围影响,云系增多,下午开始转雨,全天气温在18~23℃之间虚拟币交易监管。明天夜间到周五降雨明显,同时风力增大。降雨和冷空气影响,周五和周六气温下降,最高气温仅20℃。周日上海天气恢复平静。下周还有一次冷空气过程,上海以多云天气为主,气温进一步下降。

上海明后天将有大暴雨<strong></p>
<p>虚拟币交易监管</strong>,或为1981年以来11月最大降雨

评论